L O A D I N G

Działka budowlana Pobiedziska Jezioro Biezdruchowo

Polska, Pobiedziska, Słoneczna
Szczegóły
Pokoi
Rynek: Rynek wtórny
Rodzaj transakcji Na sprzedaż
ID ogłoszenia: 34964547083
Powierzchnia 1001.00 M2
Rok budowy:

Opis

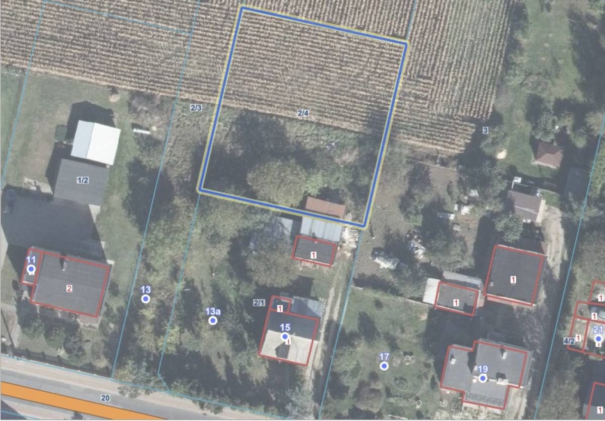
Działka budowlana w Pobiedziskach, ulica Słoneczna (druga linia zabudowy)

Ulica Słoneczna w Pobiedziskach to spokojna okolica mieszkaniowa, jest popularną lokalizacją inwestycyjną, znaną m.in. z zabudowy jednorodzinnej i osiedla Słoneczneg, położona blisko centrum miasta oraz głównych atrakcji regionu.
W pobliżu znajduje się Skansen Miniatur Szlaku Piastowskiego, Gród Pobiedziska, a także liczne jeziora (np. jezioro Biezdruchowo – 700 m, Lednica) i tereny rekreacyjne. Okolica oferuje łatwy dostęp do punktów usługowych i trasy kolejowej Poznań-Gniezno.

Atrakcje w bezpośredniej okolicy (Pobiedziska i bliska okolica):
Skansen Miniatur Szlaku Piastowskiego – miniatury najważniejszych zabytków Szlaku Piastowskiego w skali 1:20.
Gród Pobiedziska – park rozrywki z makietami machin oblężniczych, zbrojownią i atrakcjami dla dzieci.
Jezioro Biezdruchowo – popularne miejsce rekreacyjne w samym mieście.
Promno (ok. 4 km) – stacja kolejowa i popularne tereny spacerowe, a także Rezerwat przyrody Promno.
Jezioro Lednica i Ostrów Lednicki (ok. 7 km) – miejsce chrztu Polski, Muzeum Pierwszych Piastów

Udogodnienia i lokalizacja:
Komunikacja: Dobry dostęp do stacji kolejowej w Pobiedziskach (pociągi do Poznania i Gniezna) oraz drogi krajowej nr 5.
Sklepy i usługi: W pobliżu centrum Pobiedzisk dostępne są markety (np. Dino, Biedronka), usługi medyczne oraz szkoły.
Rekreacja: Liczne ścieżki rowerowe i tereny leśne w gminie Pobiedziska.

Dane dotyczące działki: 

powierzchnia: 1001 m
obwód działki: 127 m
szerokośc działki: 30 m
długość działki: 33 m

Działka niezagospodarowana, płaska, w kształcie prostokąta.

MPZP/ 5MN

media:
woda, prąd, gaz, kanalizacja – w drodze

Informacje dodatkowe

Podobne ogłoszenia

Masz pytania?

Skontaktuj się z naszym doradzcą